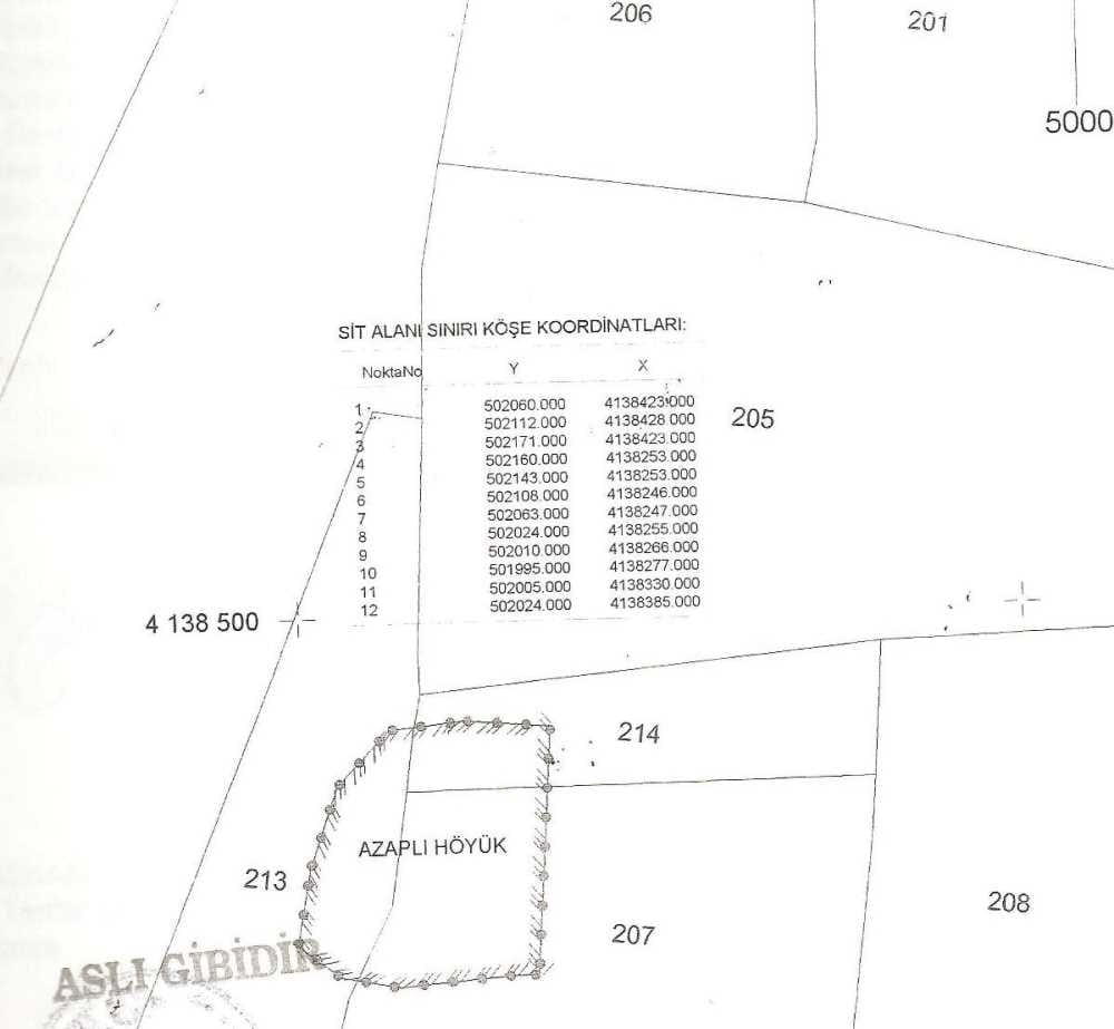
AZAPLI HÖYÜK - Osmaniye
Kimlik
| Adı |
AZAPLI HÖYÜK |
| Envanter No |
129 |
| Harita No |
- |
| Mah. Köy - Mevkii |
|
| Adres |
Azaplı.
Kadirli
|
| Pafta |
|
| Ada |
|
| Parsel |
|
Koruma Durumu
| Koruma Derecesi - Anıtsal |
|
| Koruma Derecesi - Çevresel |
|
| Koruma Derecesi - Aykırı |
|
| Bugünkü Sahibi |
|
| Bakımından Sorumlu Olması Gereken Kuruluş |
|
Diğer Özellikler
| Yaptıran |
|
| Yapım Tarihi |
|
| Yapan |
|
| Kültür Dönemi |
|
| Kitabe |
|
| Vakfiye |
|
| Genel Tanım |
Köyün 500m güneyinde bulunan höyük yaklaşık 3-4 m yüksekliğindedir. |
Kullanım Durumu
| Koruma Durumu |
|
| Taşıyıcı Yapı |
|
| Üst Yapı |
|
| Dış Yapı |
|
| Süsleme Elemanları |
|
| Rutubet |
|
Ayrıntılı Tanımı
| Yapılan Onarımlar |
- |
| Ayrıntılı Tanımı |
Yoğun tarımsal faaliyetler nedeniyle giderek yoğunlaşmıştır. Helenistik döneme ait kırmızı astarlı amorf formda çanak- çömlek parçaları bulunmuştur. |
| Su |
YOK |
| Elektrik |
YOK |
| Isıtma |
YOK |
| Orjinal Kullanım |
|
| Bugünkü Kullanımı |
|
| Önerilen Kullanım |
|
| Tescil Kararı |
08.07.2008/4039 |
| Yayın Dizini |
|
| Ekler |
|
| Revizyon |
|
Görüntülenme Sayısı :
1599
Eklenme Tarihi :
30 Ocak 2013 Çarşamba
Güncellenme Tarihi :
30 Ocak 2013 Çarşamba